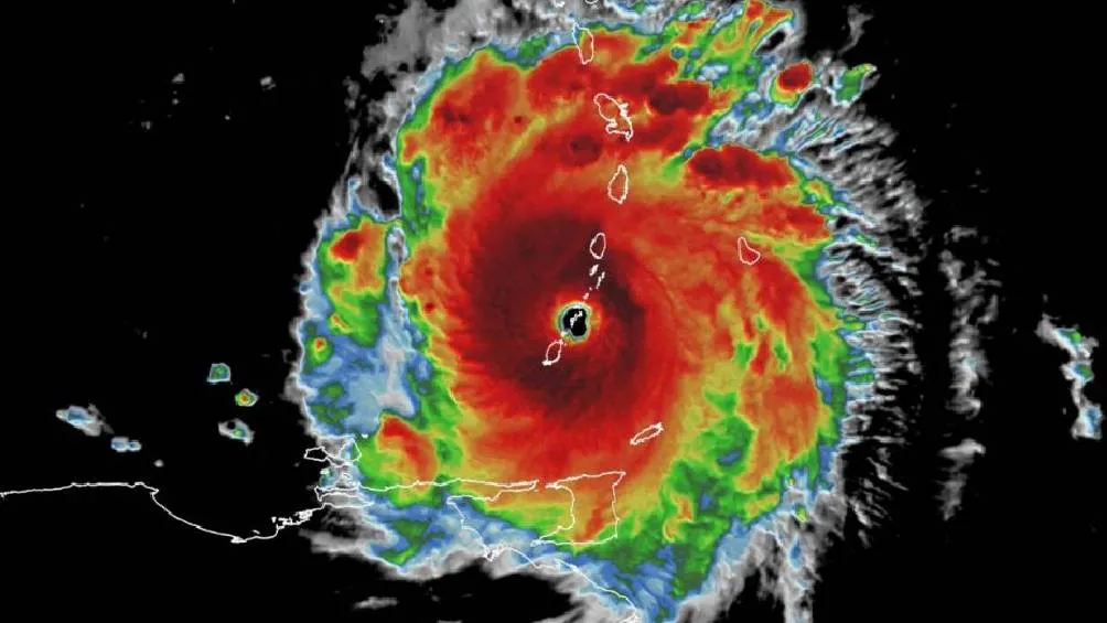
El huracán Milton ha alcanzado la categoría 4 mientras avanza por el Golfo de México, lo que ha generado alertas en diversas zonas del país debido a sus efectos, que incluyen lluvias intensas, fuertes vientos y oleaje elevado. En este momento, se encuentra a 215 km al oeste-noroeste de Celestún, Yucatán, y a 265 km al oeste-noroeste de Progreso. A continuación, se detallan los estados en alerta.
¿Qué estados de México se verán afectados por el huracán Milton?
El huracán Milton ha sido clasificado como categoría 4 y se desplaza por el Golfo de México, lo que ha generado alertas en varias zonas del país, especialmente en los estados de Campeche y Yucatán. Se anticipan lluvias torrenciales, con acumulaciones que podrían superar los 150 mm en poco tiempo, aumentando el riesgo de inundaciones severas y deslaves. Las autoridades han instado a evacuar áreas vulnerables y a seguir las instrucciones del Sistema Nacional de Protección Civil.
En las zonas costeras de Campeche y Yucatán, se prevén rachas de viento de entre 120 y 140 km/h, así como oleaje elevado de 5 a 7 metros. Actualmente, el huracán se localiza a 215 km al oeste-noroeste de Celestún, Yucatán, y a 265 km al oeste-noroeste de Progreso.

Se prevé que otros estados como Puebla, Veracruz, Tabasco y Quintana Roo experimenten lluvias intensas. Aunque no se anticipa que las precipitaciones alcancen la misma magnitud que en los estados mencionados anteriormente, se estima que serán lo suficientemente intensas como para provocar tramos parciales de tierra en zonas montañosas.
En el norte del país, los estados de Tamaulipas, San Luis Potosí, Hidalgo y Tlaxcala enfrentarán lluvias moderadas a fuertes, lo que podría complicar la situación en regiones donde el drenaje pluvial es deficiente o el suelo.
Suspenden clases en Yucatán
La Secretaría de Educación de esa entidad (SEGEY) suspendió las clases en los siguientes municipios costeros: Celestún, Hunucmá, Progreso, Ixil, Dzemul, Telchac Puerto, Sinanché, Yobain, Dzidzantún, Dzilam Bravo, San Felipe y Río Lagartos.

¿Qué tan peligrosa es la categoría 4 de un huracán?
La categoría 4 es un huracán extremadamente ventoso, con velocidades de viento de entre 209 y 251 kilómetros por hora.
Además de destruir árboles, letreros y señales de tránsito, este tipo de huracán puede causar severos daños a las edificaciones, afectando techos y paredes. Los cortes de energía pueden durar semanas o incluso meses.
Además, las zonas costeras experimentarán graves inundaciones, que alcanzarán hasta seis metros por encima de los niveles medios, y las inundaciones podrían comenzar cinco horas antes de que el ojo de la tormenta toque tierra.





