Caliente.mx - Apuestas deportivas. Recibe de regalo $1,000. Haz clic aquí. ¡Apuesta ahora! Caliente.mx - Apuestas deportivas. Recibe de regalo $1,000. Haz clic aquí. ¡Apuesta ahora!

Huracán Melissa alcanza categoría 5 y pone en alerta al Caribe

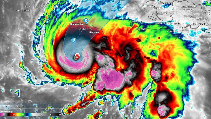
Según el reporte meteorológico, Melissa continúa intensificándose sobre aguas del Caribe. | Meteored
El huracán Melissa alcanzó la categoría 5 con vientos superiores a 250 km/h y avanza sobre el Caribe, dejando bajo alerta a Jamaica, Cuba y las Bahamas por lluvias e inundaciones extremas

El huracán Melissa se convirtió en una tormenta de categoría 5, la máxima en la escala Saffir-Simpson, y amenaza con impactar a Jamaica, Cuba y las Bahamas durante los próximos días.
De acuerdo con el Centro Nacional de Huracanes (NHC, por sus siglas en inglés), el fenómeno presenta vientos sostenidos de más de 250 km/h, lo que lo convierte en un ciclón extremadamente peligroso.

Según el reporte meteorológico, Melissa continúa intensificándose sobre aguas del Caribe con condiciones favorables para mantener su fuerza. Las autoridades locales han emitido alertas y advertencias ante los efectos que podrían sentirse incluso antes del paso del ojo del huracán.

Jamaica, Cuba y Bahamas, bajo advertencia

Jamaica es el primer país en la trayectoria directa del sistema. El gobierno ordenó evacuaciones preventivas en zonas costeras y advirtió que el huracán podría ser “uno de los más potentes de las últimas décadas”.
En Cuba, las provincias orientales también se preparan ante el posible impacto, con medidas de protección civil activadas para evitar deslizamientos e inundaciones.
Las Bahamas, por su parte, entraron en estado de vigilancia de huracán, ante la posibilidad de que Melissa mantenga su intensidad al acercarse al archipiélago.

El NHC alertó que el huracán provocará marejadas ciclónicas, lluvias torrenciales e inundaciones repentinas, lo que podría ocasionar daños graves a la infraestructura y riesgo para la vida humana.

“Catastrophic and life-threatening flash flooding and mudslides are expected across Jamaica and eastern Cuba,” advirtió el organismo estadounidense.

Por qué Melissa se intensificó tan rápido

Meteorólogos han explicado que las altas temperaturas en el Mar Caribe, que superan los 30 °C, alimentaron la rápida intensificación del sistema tropical.
Este tipo de desarrollo explosivo, conocido como rapid intensification, ocurre cuando un huracán aumenta su velocidad de vientos en más de 55 km/h en menos de 24 horas.

Especialistas advierten que este patrón está relacionado con el cambio climático, ya que el calentamiento del océano proporciona más energía para la formación de ciclones de gran potencia.

 

Riesgos y efectos previstos

  • Vientos sostenidos superiores a 250 km/h y ráfagas aún más fuertes.
  • Marejadas ciclónicas con olas de hasta 5 metros en costas del Caribe.
  • Inundaciones repentinas y deslizamientos de tierra en zonas montañosas.
  • Interrupciones en el suministro eléctrico y en las comunicaciones.

Las autoridades de los tres países exhortaron a la población a seguir únicamente fuentes oficiales y evitar circular por áreas de riesgo. También se recomendó preparar kits de emergencia con agua, alimentos no perecederos, radio portátil, linterna y documentos personales.

Trayectoria del huracán

De acuerdo con el NHC, Melissa se moverá hacia el noroeste durante las próximas 48 horas. Se prevé que el ojo del huracán pase muy cerca o sobre Jamaica antes de dirigirse al oriente de Cuba y posteriormente al norte, hacia las Bahamas.

Aunque se espera que se debilite ligeramente después de tocar tierra, seguirá siendo un huracán de gran intensidad, capaz de generar lluvias severas y daños estructurales en su recorrido por el Caribe.