Caliente.mx - Apuestas deportivas. Recibe de regalo $1,000. Haz clic aquí. ¡Apuesta ahora! Caliente.mx - Apuestas deportivas. Recibe de regalo $1,000. Haz clic aquí. ¡Apuesta ahora!

Huracán Otis afectó alerta sísmica; ¿sonará en caso de sismo fuerte?

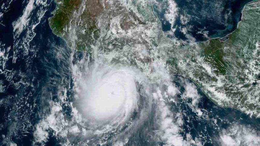
Huracán Otis afectó alerta sísmica; no sonaría en caso de sismo fuerte | AP
Al menos 27 sensores del Sistema de Alerta Sísmica Mexicano se vieron afectados por el paso del huracán d

A pesar de que degradó su categoría en cuanto tocó tierra, el Huracán Otis dejó grandes afectaciones en las costas de Guerrero. Y no solo eso, sino que dicho fenómeno del clima también dejó un impacto en el Sistema de Alerta Sísmica Mexicano (Sasmex). 

Por medio de un comunicado de prensa compartido en X (antes Twitter), el Centro de Instrumentación y Riesgos Sísmicos (CIRE), A.C. informó que el huracán dañó al menos 27 sensores del sistema, principalmente en la región del Pacífico, en Michoacán, Guerrero y Oaxaca

El organismo aseguró que las brigadas de ingenieros ya están realizando los trabajos de recuperación de los sensores. Pero debido a las afectaciones de la región por el paso de Otis, "tomará mayor tiempo del normal en llegar a atender los daños”.

De igual forma compartió que pedirán apoyo a las autoridades de Protección Civil federal y local para restaurar el servicio en cuando las condiciones meteoológicas lo permitan. Y detalló que en caso de un sismo fuerte, "próximo a los sensores afectados, no se podrá emitir un aviso de alerta sísmica". 

 

 

¿Sonará la alerta sísmica en CDMX?

Por su parte, el coordinador general del Centro de Comando, Control, Cómputo, Comunicaciones y Contacto Ciudadano (C5) de la Ciudad de México, Juan Manuel García Ortegón, señaló que se realizan las evaluaciones para determinar cuáles son las zonas que quedaron sin comunicación. 

Enfatizó que es difícil moverse en la zona afectada por Otis, por lo que pidió a los capitalinos mantenerse atentos a la información. "Obviamente, sí hay una afectación. El CIRES está identificando cuáles son los puntos y cuando nos comunique exactamente cuál es el tema, se los haremos saber". 

TAMBIÉN TE PUEDE INTERESAR: HURACÁN OTIS: ASÍ LUCE LA ARENA GNP A 3 MESES DEL ABIERTO MEXICANO DE TENIS