Caliente.mx - Apuestas deportivas. Recibe de regalo $1,000. Haz clic aquí. ¡Apuesta ahora! Caliente.mx - Apuestas deportivas. Recibe de regalo $1,000. Haz clic aquí. ¡Apuesta ahora!

Huracán Otis se degrada a categoría 1 y continúa en Guerrero

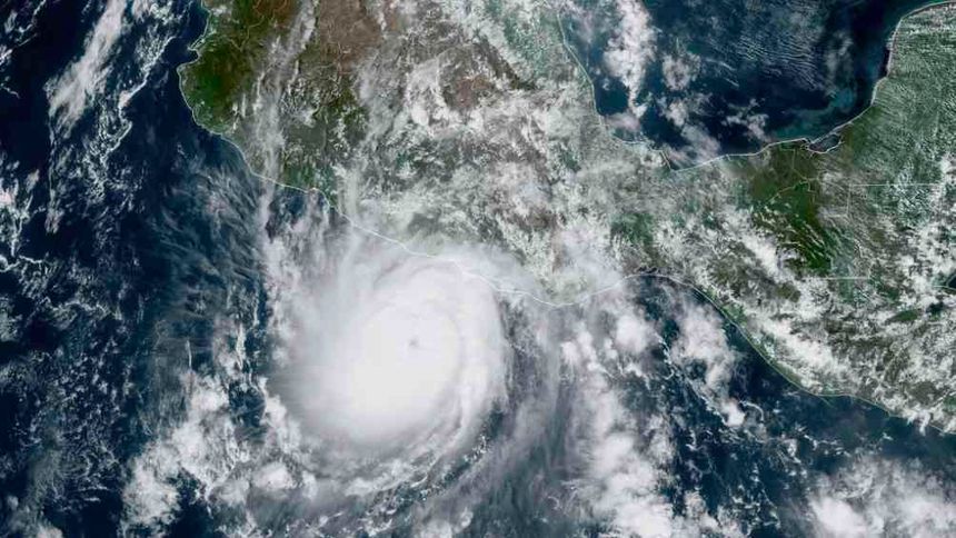
Huracán Otis se degrada a categoría 2 y continúa en Guerrero | AP
Autoridades informaron que Acapulco fue una de los zonas más afectadas

Luego de pegar con toda su fuerza durante la noche del martes y la madrugada del miércoles en Acapulco, Guerrero, el huracán Otis se degradó de categoría 5 a 1, según la escala Saffir-Simpson. 

De acuerdo a información de la gobernadora del estado, Evelyn Salgado, las principales afectaciones se dieron en Acapulco, al igual que en zonas de la Costa Chica y Costa Grande.  

Además de los cuantiosos daños materiales, 504 mil 340 usuarios se quedaron sin suministro eléctrico, aunque a alrededor de la mitad ya le fue restablecido, reportó la Comisión Federal de Electricidad (CFE). 

Pese a la degradación de ‘Otis’, la zona noroeste, centro y sureste de Guerrero seguirá siendo azotada por el huracán, además la Comisión Nacional del Agua (Conagua) pronostica que el fenómeno meteorológico continuará desplazándose hasta llegar a Michoacán esta tarde. 

Por su parte la Coordinación Nacional de Protección Civil (CNPC) lanzó una alerta naranja de peligro alto en el resto de la entidad guerrerense, al igual que para Michoacán y el sur del Estado de México. 

 También se preveen lluvias intensas a extraordinarias en Guerrero; muy fuertes a  intensas en Michoacán y el Estado de México (suroeste); y  fuertes para Morelos, Puebla (suroeste) y Oaxaca (oeste).

TAMBIÉN TE PUEDE INTERESAR: BITCON SE DISPARA; SUPERA LOS 35 MIL DÓLARES Y CRECEN LAS ESPECULACIONES