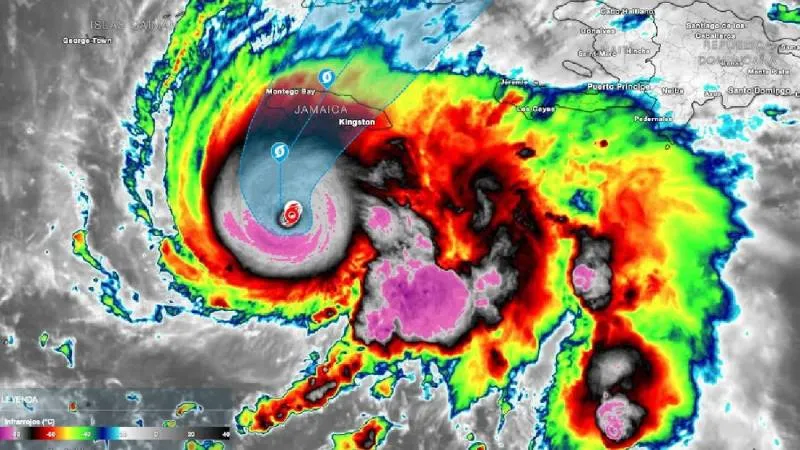
La tormenta tropical Melissa se generó el martes 21 de octubre de 2025 en el océano Atlántico, según reportó el Servicio Meteorológico Nacional (SMN) y la Comisión Nacional del Agua (Conagua).
En el momento de su formación, el centro del sistema se localizaba aproximadamente a 480 km al sur de Puerto Príncipe, Haití, y a unos 1,765 km al este-sureste de Punta Herrero, Quintana Roo.
De acuerdo con los pronósticos, Melissa podría intensificarse y desplazarse por el Caribe, pero su ruta no está orientada directamente hacia las costas mexicanas.

¿Afectará México?
El SMN y Conagua han sido muy claros: “no representa peligro para territorio mexicano” por su ubicación y trayectoria actual.
Si bien algunos medios mencionan estados donde podrían registrarse lluvias derivadas de la humedad que Melissa arrastre, estos efectos serían secundarios, no resultado de un impacto directo del sistema.
Por lo tanto, México no está en línea de impacto directo según los datos más recientes.

¿Qué pueden esperar algunas regiones de México?
Aunque Melissa no se dirige hacia México, se recomienda vigilancia porque su circulación puede incrementar los efectos de humedad en la atmósfera mexicana, generando:
- Aumento de lluvias aisladas en zonas del sureste y sur del país.
- Oleaje elevado o corrientes de resaca en costas expuestas, aunque sin impacto directo confirmado.

Recomendaciones para mantener la precaución
- Mantente informado vía SMN y Conagua para alertas de cambios en trayectoria/intensidad.
- En zonas costeras del sureste o Golfo de México, aunque el riesgo es bajo, es útil revisar condiciones de oleaje o corrientes marinas.
- En regiones de montaña o con drenaje limitado, estar alerta a lluvias intensas que puedan provocar escurrimientos o inundaciones leves.
La tormenta tropical Melissa se formó en el Atlántico y aunque se intensifica, no representa un riesgo de impacto directo para México según los pronósticos oficiales. No obstante, las condiciones atmosféricas asociadas podrían generar lluvias o oleaje elevado en ciertas zonas, por lo que la atención debe permanecer.
La clave está en la vigilancia continua y la difusión de información veraz para evitar confusiones o alarmismos innecesarios.





